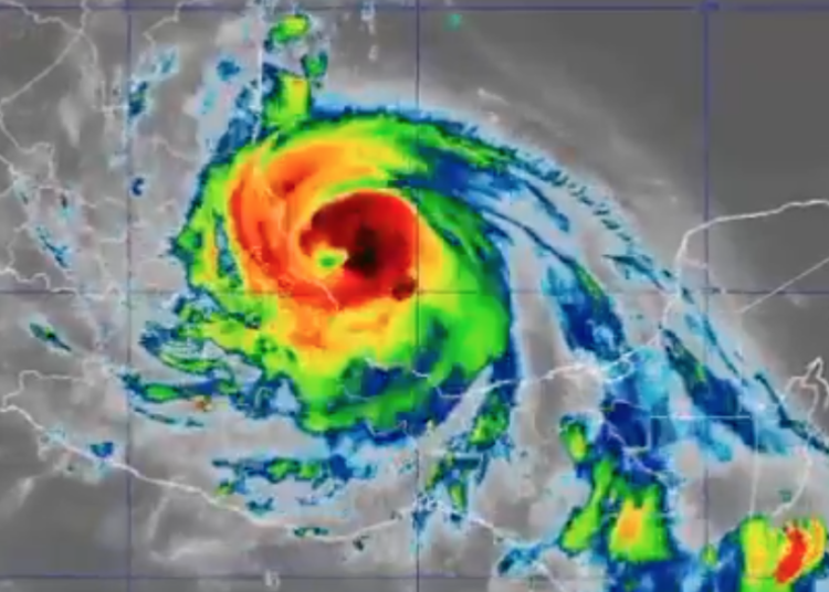
El huracán “Grace” se intensificó en las últimas horas del viernes y alcanzó categoría 3 sobre el suroeste del Golfo de México y en la madrugada tocó tierra en el municipio de Tecolutla, Veracruz.
Por ello, el gobierno del estado emitió “alerta roja” de peligro máximo para la zona norte-centro y alerta amarilla de peligro medio para la zonas sur.
Se registran vientos máximos sostenidos de 195 km/h con rachas de 190 km/h y se movía al oeste a 17 km/h .
Asimismo, fueron activados 251 albergues y el desalojo preventivo de cientos de habitantes de al menos 86 municipios de las riberas de los ríos, arroyos de respuesta rápida y zonas de laderas.
Los estragos comenzaron la madrugada de hoy con inundaciones en las zonas bajas del municipio de Tantoyuca, donde reportaban personas atrapadas en sus viviendas.
La franja comprometida por los vientos del meteoro abarcó desde Veracruz puerto hasta Cabo Rojo, al norte del estado, dicha franja cuenta con zonas montañosas y cuencas hidrológicas, por lo que no descartaron inundaciones, derrumbes y deslizamientos, ante un pronóstico de un máximo de 300 milímetros cúbicos de precipitaciones máximas en 24 horas.















