En funcionamiento red carretera de Veracruz, tras paso de Grace
El secretario de Comunicaciones y Transportes, Jorge Arganis Díaz-Leal, afirmó que tras los efectos del huracán “Grace”, en Veracruz las ...
El secretario de Comunicaciones y Transportes, Jorge Arganis Díaz-Leal, afirmó que tras los efectos del huracán “Grace”, en Veracruz las ...
El presidente de la Asociación de Municipios del Estado de Hidalgo (AMEH), Israel Félix Soto, encabezó la entrega de apoyos ...
A las 10:00 horas, tiempo del centro de México, la tormenta tropical Marty en el Océano Pacífico continúa su desplazamiento ...
El paso del huracán Grace por Puebla provocó que un hombre y una mujer perdieran la vida, luego de que ...
La Comisión Federal de Electricidad (CFE) informó que restableció a la normalidad el suministro de energía eléctrica a los 740,509 ...
Tras el paso del Huracán Grace por territorio poblano, la Coordinación General de Protección Civil Estatal informó que se han ...
Ante la previsión del incremento de lluvias causadas por el huracán “Grace”, el Gobierno del Estado de México, a través ...
El gobernador de Veracruz, Cuitláhuac García Jiménez, emitió una alerta a la población que vive en las orillas de las ...
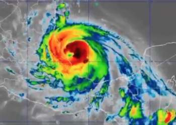
El huracán “Grace” se intensificó en las últimas horas del viernes y alcanzó categoría 3 sobre el suroeste del Golfo ...
Ante el pronóstico de lluvias intensas en el valle de México en las próximas horas, el gobierno de Ecatepec se ...
© 2021 Central Municipal | El municipio, el corazón de México